肌年齢・隠れシミなど
現在の肌状態を正しく分析
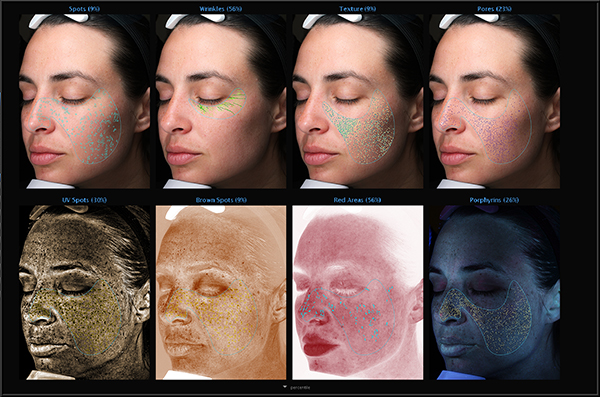
肌診断機【VISIA】は、最先端のカメラを内蔵し、「シミ」「シワ」「毛穴」「色ムラ」「ポルフィリン」「隠れジミ」「肌年齢」の解析ができます。
現状の肌の状態はもちろんのこと、潜在的なシミの予測ができるため将来必要な肌ケアに関して的確なアドバイスをお伝えすることが出来ます。

「 VISIA 」の特徴・効果
正確な解析と診断

VISIAは、撮影位置などの誤差を排除することのできる3次元的ポジションマッチング機能により、2回目以降の撮影でも同じ角度、ポジションを維持できます。これにより毎回正確な解析と診断を行うことが可能になります。
VISIAで解析できること

VISIAのデータベースには、日本人の約11000人分の肌データが蓄積されており、
各年代の平均値から、客観的に自身の肌データと見比べることが出来ます。
・シミ
・紫外線シミ(隠れシミ)
・毛穴
・キメ細やかさ
・肌の赤み(皮膚内部の炎症)
・しわ(未来しわも含む)
・肌年齢
・ポルフェリン(ニキビ原因菌の代謝物)